- ©MLS 984901
Description
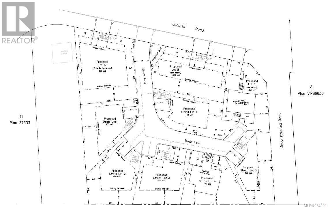
DEVELOPMENT OPPORTUNITY!! Works out to 9 lots for just 2.1MM. Sellers will consider any reasonable offer. Proudly presenting 3332, 3328 and 3324 Lodmell Road. This 11 lot project has conditional approval for 7 single family home lots that allow suites, 2 duplex lots and to top it all off it also includes 2 existing homes (Value of 1.5MM). Monthly rental income of $5,500. This land assembly has a combined area of 1.12. Possible gold mine with Langford's zoning changes (Bylaw No.2183). PLEASE do not walk the property without an appointment. The 1975 mobile home on 3324 Lodmell is not suitable for habitation and is of no value. 3328 Lodmell Silver Label 514013. (id:48970) Show More
Details
- Property Type: Multi-family
- Type: Multi-Family
- Neighbourhood: Walfred
Location
Similar Properties
For Sale
$ 850,000 $ 542 / Sq. Ft.
- 1000970 ©MLS
- 2 Bedroom
- 1 Bathroom
For Sale
$ 1,119,900 $ 283 / Sq. Ft.
- 1000335 ©MLS
- 7 Bedroom
- 4 Bathroom
For Sale
$ 929,000 $ 359 / Sq. Ft.
- 1003835 ©MLS
- 4 Bedroom
- 4 Bathroom
This REALTOR.ca listing content is owned and licensed by REALTOR® members of The Canadian Real Estate Association
Data provided by: Victoria Real Estate Board


